Save
Notify Similar
R70,000,000

Vacant Land Residential for sale in Dal Weiding

130,000m²
Fully Rezoned & Subdivided - Ready To Be Developed Property For Sale In Paarl !!!

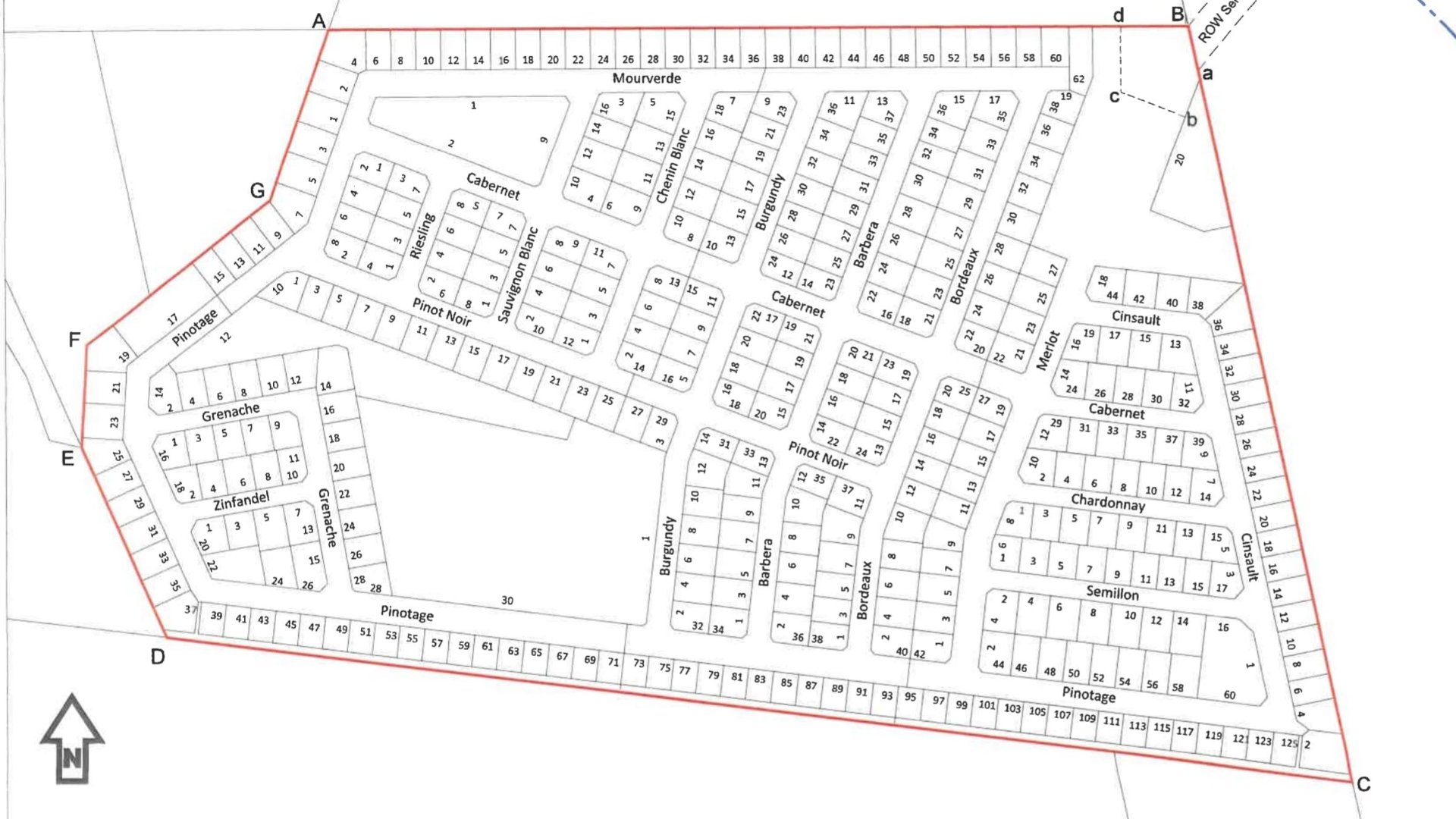
*Mount Pearl Estate*

467 Units to be developed.

(371 Single Residential & 96 Sectional title units)

R70 000 000 (EXCLUDING VAT)

For more information and proof of sudivision and rezonig, feel free to contact us directly.

Mount Pearl Estate presents a rare chance for an enterprising developer to secure a fully zoned residential project on the outskirts of Paarl, nestled among three up-and-coming neighborhoods.

With zoning approvals and subdivision already in place, the development is ready to launch, offering immediate opportunities for sales and service delivery with strong potential returns from the outset.

The estate comprises 371 plot-and-plan residential stands and 96 sectional title apartments, all supported by a finalized Service Level Agreement. Designed to meet modern lifestyle expectations, the property features top-tier security, a clubhouse with shared facilities, children's play areas, scenic walking trails, and ample parking—all set against the backdrop of striking mountain views. Just five minutes from Paarl’s central business district, the location offers tranquil surroundings and unobstructed natural beauty. Environmental assessments have been completed, and the development aligns fully with zoning and compliance requirements. Mount Pearl Estate brings together nature, safety, and convenience in a fully approved package tailored for high-quality living and smart investment.

Property Type
Vacant Land Residential
Stand Size
130,000m²
Available From
14 Jul 2025
Reference
2466456
Property history
Listed for sale at R70,000,000
14 Jul 2025
Get to know Paarl
A mere hour’s drive from Cape Town lies the beautiful town Paarl - a unique small town known for its beautiful landscape, excellent wines and incredible architecture.
By clicking on "contact" you agree to our privacy policy
Contact Agent
MP home loans expert Michael-Anne
Get expert home loan assistance with Michael-Anne
Ask me a question
What will my move cost?
Calculate your moving costs to Dal Weiding with the help of our moving partners.
Get quotes
Moving powered by
Property questions?
Get quick answers about buying, selling, renting, and more from our AI powered real estate bot