Save
Notify Similar
R200,000

Vacant Land Residential for sale in Boesmansriviermond Central

1,407m²
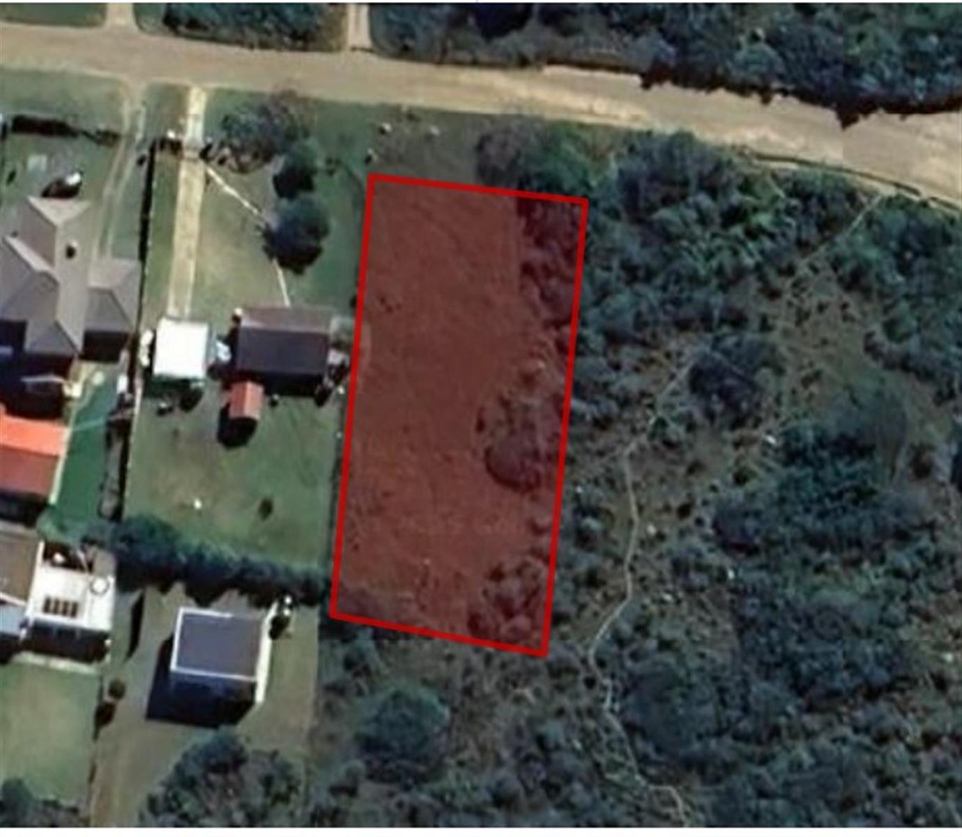
Vacant Land In Riversbend Boesmansriviermond

Discover this level, cleared plot in the peaceful Riversbend area — perfectly positioned near Nature’s Landing and the popular Floating Sandbar Restaurant. This inviting piece of land is ready for you to build your dream home. With the adjoining plot zoned as municipal open space, you can enjoy added privacy and a tranquil natural outlook.

Property Type
Vacant Land Residential
Stand Size
1,407m²
Reference
PC1483389
Property history
Listed for sale at R200,000
11 Nov 2025
By clicking on "contact" you agree to our privacy policy
Contact Agent
MP home loans expert Michael-Anne
Get expert home loan assistance with Michael-Anne
Ask me a question
What will my move cost?
Calculate your moving costs to Boesmansriviermond Central with the help of our moving partners.
Get quotes
Moving powered by
Property questions?
Get quick answers about buying, selling, renting, and more from our AI powered real estate bot