Create a bespoke townhouse community or family estate in Durban North, steps from Chris Hani Road; dual street frontage and existing services provide a ready redevelopment canvas on 1,844m².
Dual-frontage serviced ±1,844 m2 GR2 site - ideal townhouse infill or private consolidation in Parkhill.
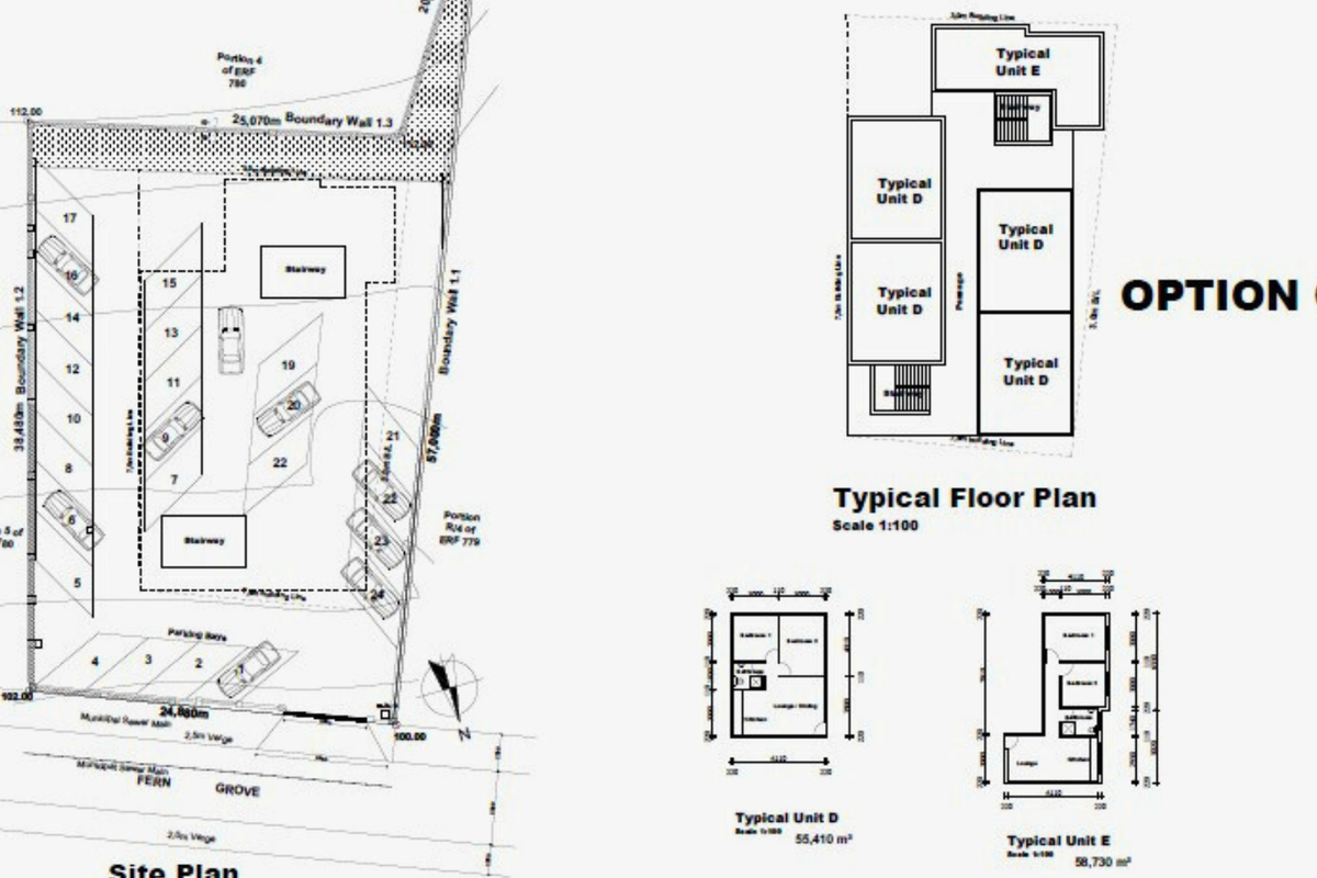
An assembled ±1 844 m2 GR2 land parcel in Parkhill (Durban North) - two adjacent plots sold together. The site benefits from dual street frontage and existing services on the primary stand (water, sewer, electricity). The current improvement is not economically viable, presenting a clean redevelopment canvas.
Why it works:
GR2 + dual frontage reduces design/access friction.
Existing services shorten early-stage connections.
Near Chris Hani Road for direct arterial access into Durban North/eThekwini.
Conceptual scheme (guide only): ±25–30 units, subject to municipal approvals.
Audience fit:
Developer/Investor: Small-scale townhouse or sectional-title scheme.
Owner-occupier: Consolidate for an expansive family estate with future subdivision potential.
Price & Availability:
R2,500,000 (excl. VAT). Vacant; immediate occupation on transfer.
Sale pack & due diligence:
Title & operating-cost particulars, zoning extract, services confirmation, site aerial/overlay and a one-page feasibility sketch available on request. Subject to confirmation of servitudes and municipal planning requirements.
* Monthly costs are estimates and should be confirmed with the agent.
Listed for sale at R2,499,999
Price increased by 0.0% to R2,500,000
Park Hill is a peaceful and established residential suburb offering a blend of suburban tranquility and convenient access to Durban North's amenities and the city center.
* Distances and amenities are approximate.