Scale your business from a high‑visibility corner in Nelspruit’s established industrial node, near the bus depot — multiple income-generating units with large workshop, spray booth and yard.
Multi-Use Business Premises with Strong Rental Income Potential
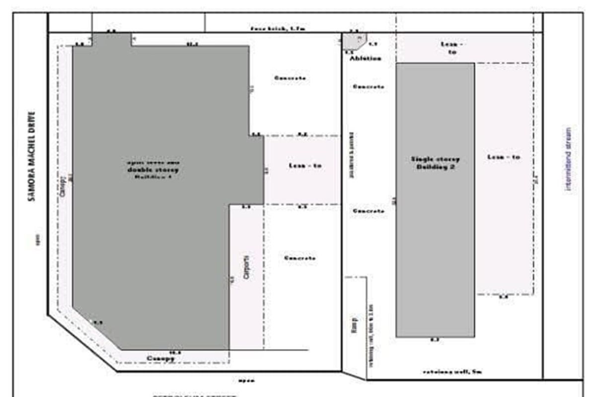
Positioned on a prominent corner in one of Nelspruit’s established industrial areas, this Industrial 1 zoned property offers excellent visibility and accessibility near the bus depot. The layout is highly functional and designed to accommodate a wide range of commercial and industrial operations, making it ideal for owner-occupiers, investors, or developers.
Erf Size: 1,927m2
Zoning: Industrial 1
Estimated Total Rental Income: ±R110,000 per month
Rates and Taxes: R5,989 per month
Property Features
The property is divided into multiple income-generating units, each with practical layouts suited to different business types:
Professional Office Component – ±200m2
Retail / Commercial Unit – ±400m2
Main Workshop / Warehouse – ±900m2
Panel Beating Workshop – ±450m2
Key Advantages
This property offers a rare combination of location, versatility, and income potential in a well-established industrial node of Nelspruit.
For more information or to arrange a private viewing, please get in touch.
The Property Practitioner, Pierre Kotze, is duly registered with the PPRA (Registration Number 1205969) and holds a valid Fidelity Fund Certificate (FFC Number 202635002700000) and operates under eXp Realty South Africa (Pty) Ltd.
The Property Practitioner, Bernardine Kotze, is duly registered with the PPRA (Registration Number 1182218) and holds a valid Fidelity Fund Certificate (FFC Number 202635019240000) and operates under eXp Realty South Africa (Pty) Ltd.
eXp Realty South Africa (Pty) Ltd (Registration Number 2020/480535/07) is registered with the PPRA (F148656) and holds a valid Fidelity Fund Certificate (FFC Number 202401016400246). The company operates a trust account.
* Monthly costs are estimates and should be confirmed with the agent.
Listed for sale at R7,500,000
Nelspruit Industrial serves as the primary logistics and manufacturing hub of the Lowveld, offering strategic connectivity to the Maputo Corridor and essential infrastructure for industrial, retail, and wholesale operations.
* Distances and amenities are approximate.