Auction: Grow your business in Secunda's Gate One Business Park, steps from Sasol's Charlie 1 main gate — 6,227m² zoned low‑impact mixed use with dual street access.
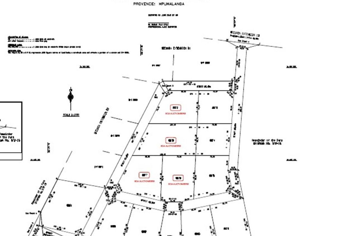
The sections that will on auction are ERF 8972 = 6227m2, ERF 8976 = 6935m2, ERF 8977 = 7238m2 and ERF 8978 = 8260m2. These sections will be sold firstly as individual lots and then we will package the 4 and sell as one lot.
Gate One Business Park is a new township created within the Secunda CBD and just outside the main entrance to SASOL.
Gate One Business Park is 160 000m in size and is strategically located at the Main Gate (Charlie 1) of the Sasol complex. The Business Park has entrances from both P D P Kruger Street and Nelson Mandela Drive.
Gate One Business Park forms part of the business development focus area of the Govan Mbeki Municipality known as the Secunda Business Corridor which runs from the old Secunda central business district, Secunda Mall, Lake Umuzi waterfront, Builders Warehouse to Gate One Business Park and main gate of the Sasol complex.
The land is divided into three townships with a total of 36 erven. The size of the erven range between 1,647m2 and 10,981m2.
The zoning of the erven is either Low-Impact Mixed Use or Low-Impact Industrial.
The Gate One Business Park offers entrepreneurs the opportunity to purchase zoned erven in extent of 5,551m2 to 12,614m2 each and develop the property according to the aesthetic profile of the Business Park. The zoning of the erven can be found on the info page.
With its prime location the Gate One Business Park in Secunda, which has a strong and vibrant economy supported by the Sasol Operations, offers businesses that locate to the business park the advantage of exceptional exposure.
Secunda Central, Mpumalanga, offers a mixed agricultural landscape suitable for arable and livestock farming, benefiting from moderate rainfall, accessible infrastructure, and proximity to industrial and consumer markets, making it an attractive area for diverse agricultural ventures.
* Distances and amenities are approximate.